Basaltic dykes intruding basaltic scoria in a sequence within a volcanic arc volcano on Visokoi Island, South Sandwich Islands, South Atlantic. Photo: Phil Leat.
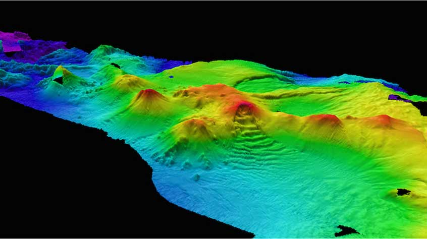
Submarine volcanoes at the north end of the south sandwich volcanic arc. Data collected using hull-mounted multibeam echosounder data on RRS James Clark Ross. Photo: Phil Leat.
Frying Pan Lake, Waimangu, New Zealand. Photo by Dan Smith.
Classic subglacially erupted ‘tuya’ (monogenetic volcano erupted beneath a thick ice sheet), Hlodufell, Iceland. Photo by John Smellie.
700 m-high cliffs cut by marine erosion in volcanic rocks erupted from volcanic fissures under ice on Iceland’s south coast; Öraefajokull in the background. Photo by John Smellie.
Milos, Greece. Photo by Dan Smith.
12 km-long, 1000 m-high cliffs formed entirely of volcanic rocks erupted subglacially between 11 and 7 million years ago. Antarctica. Photo by John Smellie.
Savo, Solomon Islands. Photo by Dan Smith.
Ngauruhoe and Tongariro, New Zealand. Photo by Dan Smith.
Geologist standing in front of volcanic rocks at Cape Washington, Antarctica, erupted 2.7 million years ago when the ice sheet was much thicker. Photo by John Smellie.
Dan Smith on Savo, Solomon Islands. Photo: Dan Smith.
Volcanic rocks formed during voluminous fissure eruptions under an extensive ice sheet 2-3 million years ago on Iceland’s south coast. Photo by John Smellie.
Columbia River Basalts, USA. Photo by Tiffany Barry.
View of Mt Overlord, a 7 million year extinct volcano in Victoria Land, Antarctica. Photo by John Smellie.